El huracán María viaja por las islas del Caribe convertido en un poderoso fenómeno categoría 5, a su paso, sorprendió a más de uno.
El fenómeno causa miedo por su magnitud y fuerza, pero ahora una fotografía genera el mismo temor.
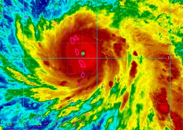
El sistema, que gana fuerzas exponencialmente, ha dado de qué hablar en las redes sociales, pues cientos de usuarios han visto en una imagen satelital algo que consideran una calavera.
Así lo recoge el medio puertorriqueño Primera Hora, donde afirman que el fenómeno repite la tendencia de otro super huracán.
María mantiene la trayectoria y poderío que presentó hace pocos días el huracán Irma, que azotó también las islas caribeñas.
Además, repite la emblemática imagen del huracán Matthew cuando pasaba por Haití en el 2016.
En ese momento, cientos de personas comentaron que Matthew también formaba la silueta de una cabeza de esqueleto, así lo informa el portal web La Prensa Libre.cr
GOES-16 1-minute imagery showing the rapid appearance of a distinct & clear eye feature with Hurricane #Maria during the past hour. #flwx pic.twitter.com/nIdAhvBWon
— NWS Tampa Bay (@NWSTampaBay) September 18, 2017
En contexto
El poderoso huracán María dejó hoy atrás la isla de Dominica, y se dirige ahora a Saint Croix (islas Vírgenes) y Puerto Rico con vientos de hasta 250 kilómetros por hora, según el Centro Nacional de Huracanes (NHC) de EE.UU.
A las 02.00 hora local (06.00 GMT), el ojo de María se ubicaba 380 kilómetros al sureste de Saint Croix y avanzaba en dirección oeste-noroeste a una velocidad de 15 kilómetros por hora.
María tocó tierra en Dominica a las 21.15 hora local del lunes (01.15 del martes GMT) con vientos de hasta 260 kilómetros por hora como huracán de categoría 5, la máxima en la escala de intensidad Saffir-Simpson.
Sin embargo, el huracán perdió algo de fuerza en su paso por la isla caribeña que hizo rebajar la categoría a 4.
 
		 
			

















