Etiqueta: melissa
Huracán Melissa toca tierra en Cuba como categoría 3
                    El huracán Melissa tocó tierra en Cuba durante la madrugada de este miércoles, convirtiéndose en un fenómeno extremadamente peligroso con vientos sostenidos de hasta...                
            Huracán Melissa deja a Jamaica en estado de emergencia total
                    El Gobierno de Jamaica declaró al país como zona catastrófica tras el impacto del huracán Melissa, un sistema de categoría 5, la noche del...                
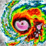
            Huracán Melissa azota el oriente de Cuba con vientos de 205 km/h
                    El huracán Melissa llegó a tierra en el oriente de Cuba la madrugada de este miércoles, azotando la isla con vientos que sostenían hasta...                
            Cuba se prepara para la tormenta del siglo: Melissa irrumpe
                    El poderoso ciclón Huracán Melissa está tocando con fuerza las puertas del este de Cuba. En la ciudad de Santiago de Cuba ya se...                
            Impactantes videos muestran los estragos de Melissa en Jamaica
                    El poderoso huracán Melissa impactó este martes el suroeste de Jamaica como un ciclón categoría 5, dejando a su paso fuertes vientos y lluvias...                
            Huracán Melissa se debilita, pero sigue amenazando Jamaica
                    El huracán Melissa se degradó a categoría 4 pocas horas después de tocar tierra en Jamaica, aunque las autoridades mantienen las alertas por vientos...                
            Huracán Melissa revela curiosa dinámica oceánica con olas contrapuestas
                    El fenómeno sorprendente observado en el interior del ojo del Huracán Melissa ha captado la atención de meteorólogos y entusiastas de la meteorología: olas...                
            Huracán Melissa arrasa Jamaica: ya cobra sus primeras víctimas
                    El huracán Melissa, que llegó a ser categoría 5 en la escala Saffir-Simpson, la más fuerte de todas, ya ha dejado tres personas muertas...                
            Huracán Melissa se fortalece a categoría 5: Pone en alerta máxima a Jamaica y...
                    El Centro Nacional de Huracanes (CNH) informó que el huracán Melissa se ha intensificado a categoría 5, con vientos sostenidos de 257 km/h y...                
            Huracán Melissa alcanza categoría 3 y se intensifica rápidamente
                    El Centro Nacional de Huracanes (CNH) emitió un informe oficial sobre Melissa, que actualmente se ha fortalecido a huracán de categoría 3 y se...                
             
		 
			























