Etiqueta: lluvias
Inundaciones en Vietnam dejan siete muertos y más de 100.000 viviendas afectadas
                    Las fuertes lluvias que azotaron el centro de Vietnam esta semana provocaron inundaciones masivas, dejando al menos siete muertos y afectando a más de...                
            Huracán Melissa azota el oriente de Cuba con vientos de 205 km/h
                    El huracán Melissa llegó a tierra en el oriente de Cuba la madrugada de este miércoles, azotando la isla con vientos que sostenían hasta...                
            Cuba se prepara para la tormenta del siglo: Melissa irrumpe
                    El poderoso ciclón Huracán Melissa está tocando con fuerza las puertas del este de Cuba. En la ciudad de Santiago de Cuba ya se...                
            Impactantes videos muestran los estragos de Melissa en Jamaica
                    El poderoso huracán Melissa impactó este martes el suroeste de Jamaica como un ciclón categoría 5, dejando a su paso fuertes vientos y lluvias...                
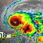
            Huracán Melissa, que ya está castigando Jamaica, dejará efectos de mal tiempo en Nicaragua
                    Durante los próximos días se pronostican lluvias en gran parte de Nicaragua debido a una baja presión y a los efectos de Melissa; el...                
            Huracán Melissa se fortalece a categoría 4 y amenaza varias islas del Caribe
                    El Centro Nacional de Huracanes (CNH) emitió un informe oficial sobre el huracán Melissa, que actualmente se ha intensificado a categoría 4, con vientos...                
            Tormenta Melissa se fortalece y está a punto de convertirse en huracán en el...
                    La tormenta tropical Melissa está a punto de convertirse en huracán, según el más reciente informe del Centro Nacional de Huracanes (NHC) de Estados...                
            Tormenta Tropical Melissa deja cuatro fallecidos en el Caribe
                    La Tormenta Tropical Melissa continúa su lento desplazamiento por el Caribe, manteniendo en alerta a varios países de la región. Según el boletín más...                
            Anegaciones y daños en viviendas: Reporte de afectaciones por lluvias en Managua
                    El Sistema Nacional para la Prevención, Mitigación y Atención de Desastres (SINAPRED) informó sobre afectaciones registradas en distintos municipios del país debido a las...                
            Fuertes lluvias y rayerías afectan Managua y sectores de la carretera a Masaya
                    Las lluvias intensas, acompañadas de fuertes rayerías, se registraron en distintos sectores de Managua durante la noche del jueves y la madrugada de este...                
             
		 
			























