Etiqueta: furia
Fans de Ninel Conde explotan y la mandan a «comprar dignidad»
Seguidores de la cantante y actriz Ninel Conde hicieron sentir su molestia y enviaron fuertes mensajes al "Bombon Asesino" luego que su ex novio...
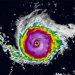
El impacto de Irma será «devastador» en las Antillas Menores
Miami (EE.UU.), 5 sep (EFE).- El huracán Irma, que alcanzó hoy la máxima categoría en una escala de cinco, descargará su furia a partir...
Honduras: Padre mata de un balazo en la cabeza a su hijo en un...
Un hombre mató en las últimas horas a su hijo y luego intentó suicidarse en el municipio El Negrito, departamento de Yoro, Honduras.
Barco naufraga...
Trump enfurece ante investigación de obstrucción a la justicia
Washington, 15 jun (EFE).- El presidente estadounidense, Donald Trump, se enfureció hoy y tachó de "falsa" la información de que el fiscal especial Robert...
Cancelan audiencias en juzgados de Diriamba y Jinotepe en contra de Furia y Toro
Las audiencias programadas contra el temido Herlio Jarquín, alias "Furia y Toro", en los juzgados de Diriamba y Jinotepe fueron suspendidas hasta nuevo aviso.
Esta mañana de...
Abogado que pidió «Furia y Toro» asumirá defensa este lunes
Tras la petición que hiciera Herlio Jarquin Alias "Furia y Toro" ante el juez esta Mañana en el complejo judicial de Managua, en el...
Aquí está el espectacular tráiler oficial de Darksiders III
Poco hemos tenido que esperar hasta ver cómo se hacía oficial el desarrollo de 'Darksiders III'. Si esta misma mañana saltaban a la luz...
Hombre muere desangrado tras riña en Costa Rica
En un extraño hecho, que es manejado de forma preliminar como un caso de violencia intrafamiliar, un hombre murió desangrado al sufrir un importante...
Encuentra video íntimo de su esposa en el celular del vecino
Un esposo jamás imaginó que descubriría la infidelidad de su mujer de la peor manera, debido que al revisar el celular de su vecino,...
La pareja de Furia y Toro fue clave para lograr su captura
En el operativo realizado por inteligencia nacional y agentes de búsqueda y captura de Carazo donde se hizo efectiva la recaptura del reconocido prófugo...























