Etiqueta: deslaves
Lluvias en Guatemala dejan las primeras tres muertes
Un adulto y dos niñas murieron en incidentes distintos a causa de las lluvias en Guatemala, convirtiéndose en las primeras víctimas de la temporada...
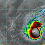
Evacuan a miles ante la llegada del tifón Kammuri en Filipinas
Miles de personas están siendo evacuadas este lunes en el noreste de Filipinas ante la llegada prevista mañana del tifón Kammuri, que amenaza también...
Ya son 34 los muertos a causa de inundaciones y deslaves en Kenia
NAIROBI, Kenia (AP) — Las inundaciones registradas la noche del sábado en el oeste de Kenia tras las fuertes lluvias han dejado 34 muertos,...
Fulminante rayo mata a joven wiwileño
Un fallecido , deslaves , caída de árboles y anegaciones de viviendas fue el resultado de las lluvias acompañadas de tormenta eléctrica que...
Japón ordena evacuar a más de 1 millón de personas por lluvias
Japón ordenó a más de un millón de personas en la isla más al sur de Kyushu que se refugien en centros de evacuación...
Indonesia: Víctimas mortales sube a 89 por inundaciones y deslaves
JAYAPURA, Indonesia (AP) — La cifra de fallecidos por las inundaciones y deslaves provocados por lluvias torrenciales en la provincia más oriental de Indonesia...
Al menos 68 los muertos por inundaciones y avalanchas en Indonesia
Yakarta, 27 ene (EFE).- Las autoridades indonesias elevaron hoy a 68 los fallecidos a raíz de las fuertes precipitaciones y vientos que afectaron el...
Inundaciones y cortes de electricidad en Tailandia por tormenta Pabuk
Cerca de 30.000 personas hallaron refugio en los centros de evacuación habilitados tras las inundaciones y los cortes de electricidad en el sur de...
Lluvias persisten en Madriz manteniendo alerta a la población
En las últimas horas no ha cesado de llover en todo el territorio de Madriz y las autoridades están alerta para atender emergencias propias...
Lluvias persistirán en todo el país y SINAPRED advierte del peligro
Las lluvias persistirán para las próximas horas, reporta el Instituto de Estudios Territoriales, INETER que indica que los suelos están saturados, por lo que...
























