Etiqueta: debilitamiento
Tormenta Enrique se debilita en su avance hasta península de México
La tormenta tropical Enrique continúa su avance por el Pacífico mexicano rumbo a la península de Baja California, pero ha perdido fuerza paulatinamente, informó...
El ciclón Nivar se debilita al tocar tierra al sureste de India
El poderoso ciclón Nivar tocó tierra este jueves en el sureste de India, dejando fuertes lluvias que llevaron a la evacuación de miles de...
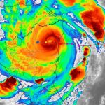
Huracán Iota se debilita y pasa a categoría uno
A medida que el huracán avanza, este se debilita y presenta vientos máximos sostenidos de 135 kmh.
INFORME ESPECIAL INETER
EL HURACÁN "IOTA"_PASA A CATEGORÍA UNO (1)...
El campo magnético terrestre cambia diez veces más rápido, según estudio
Un nuevo estudio realizado por la Universidad de Leeds y la Universidad de California en San Diego revela que los cambios en la dirección...
Depresión tropical Chantal continúa debilitándose en el Atlántico
Miami (EE.UU.), 22 ago (EFE).- La depresión tropical Chantal prosigue su proceso de debilitamiento en aguas del Atlántico y se espera que se disipe...
Florence se debilita a tormenta tropical
Miami, 14 sep (EFE).- Florence se convirtió en tormenta tropical al reducir sus vientos máximos sostenidos de 70 millas por hora (110 km/h), mientras...
El huracán José pierde fuerza al deambular por el noreste de Bahamas
Miami (EE.UU.), 11 sep (EFE).- El huracán José, de categoría 4, continuará debilitándose en los próximos dos días mientras deambula muy al noreste de...
Irma sigue «debilitándose» en su camino por el suroeste de Georgia
Miami (EE.UU.), 11 sep (EFE).- La tormenta tropical Irma sigue hoy debilitándose a su paso por el estado de Georgia y "es probable" que...
Harvey se convierte en disturbio tropical y no representa peligro para Nicaragua
La tormenta tropical Harvey se ha convertido en un disturbio tropical, informaron las autoridades de meteorología del Instituto Nicaragüense de Estudios Territoriales, INETER, quienes...
Gert comienza a debilitarse al sur de Terranova
Miami (EEUU), 17 ago (EFE).- El huracán de categoría 2 Gert comenzó hoy a debilitarse en su avance hacia las aguas frías del norte...
























