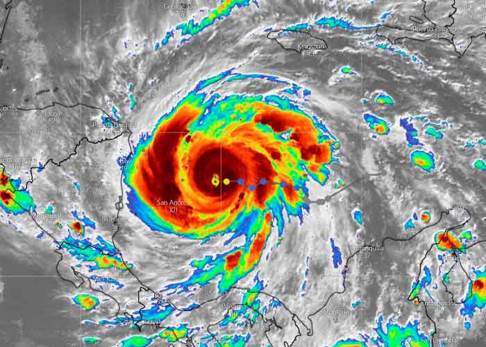
INETER: Huracán «IOTA» avanzó al Mar Caribe Occidental

nicaragua