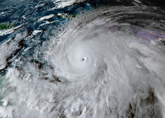
El huracán Melissa tocó tierra en Cuba durante la madrugada de este miércoles, convirtiéndose en un fenómeno extremadamente peligroso con vientos sostenidos de hasta 205 km/h. Su ojo impactó directamente en la playa El Francés, en el municipio de Guamá, provincia de Santiago de Cuba, según informó el Instituto Nacional de Meteorología (Insmet).
Durante su entrada, el ciclón desató lluvias torrenciales, marejadas con olas de hasta seis metros e intensas ráfagas que afectaron toda la región oriental; incluyendo Holguín, Granma, Guantánamo y Las Tunas. Varias localidades reportan inundaciones severas, deslizamientos de tierra y cortes eléctricos.
A las 03:05 hora local, el centro del huracán penetró ligeramente debilitado, con vientos de 195 km/h, avanzando hacia el noreste a 17 km/h. Se espera que durante la mañana cruce el oriente cubano y siga rumbo al sureste de las Bahamas, para acercarse a Bermuda el jueves por la noche.
Melissa mantiene su clasificación de categoría 3 en la escala Saffir-Simpson, y los expertos advierten que podría fortalecerse nuevamente al salir al mar. Los vientos huracanados se extienden hasta 45 km del centro, y los de tormenta tropical alcanzan 315 km.

El ojo del ciclón toca tierra en Cuba
Autoridades locales han emitido alertas de emergencia y evacuado a miles de personas en zonas costeras. Equipos de rescate y defensa civil trabajan sin descanso ante el impacto devastador del ciclón, mientras las lluvias persisten sin pausa en el oriente del país.
Las imágenes difundidas muestran calles anegadas, árboles derribados y viviendas afectadas, especialmente en Santiago de Cuba. Se prevé que las condiciones meteorológicas extremas continúen durante las próximas horas, incluso después de que el núcleo del huracán abandone el territorio nacional.
ÚLTIMA HORA 🌀
El Huracán #Melissa toca tierra como huracán mayor categoría 3 en el este de Cuba 🇨🇺 con vientos dañinos de 195 km/h
Octubre 29/03:10 amEXTREMAR PRECAUCIONES
Busca y permanece en refugios seguros. Condiciones muy peligrosas de marejadas ciclónicas, lluvias,… pic.twitter.com/Fb1KHEUfCn— Geól. Sergio Almazán (@chematierra) October 29, 2025
 
		 
			

















