De acuerdo a los meteorólogos de Vietnam, más de 200 mil personas evacuadas a refugio ante la inminente llegada de la tormenta que sería una de las más grandes en afectar el país, mientras el super Tifón Noru se dirigía hacia su costa central.
Casi la mitad de los aeropuertos de Vietnam fueron cerrados y las escuelas y oficinas públicas en varias provincias también, en medio de un éxodo de la población hacia los refugios antes de la llegada de la tormenta pronosticada para el miércoles.
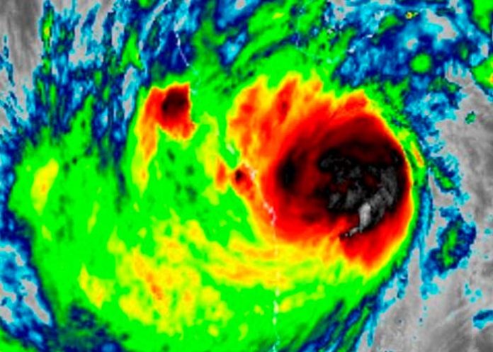
Después de su arrasador paso por Filipinas esta semana, donde dejó seis muertos, se proyecta que Noru toque tierra en Vietnam antes de las 11H00 hora local (04H00 GMT) y que en su recorrido pierda fuerza y se degrade.

Miles de evacuados en Vietnam por Tifón Noru
Se espera que la tormenta genere vientos de 160 kilómetros por hora, equivalentes a los gestados por el tifón Xangsane; que golpeó Danang en 2006 dejando 76 muertos.
Las autoridades instaron a 400.000 personas a evacuar sus hogares, incluyendo a localidades en la zona turística de Hoi An; donde los residentes fueron llevados a una escuela primaria.
«Yo quería irme. Mi casa no es muy resistente. Me da miedo de que el techo pueda desprenderse cuando el tifón llegue»; explicó Huynh Mua a la AFP.
Tifón Noru toca tierra en #Vietnam dejando perjuicios en provincia de Quảng Trị. (27.09.2022). #Super #Typhoon #Noru #zabedrosky #Damage #Storm
Medios locales ✓. pic.twitter.com/LkdNvbpSfR
— ⚠Alerta Climática🌎 (@deZabedrosky) September 27, 2022
Según los datos del Centro Conjunto de Alerta para los Tifones, que tiene sede en Hawái, el supertifón Noru es la sexta mayor megatormenta en golpear Vietnam desde 1945.
Noru golpeó la isla filipina de Luzon el domingo y el lunes, derribando árboles y generando cortes de electricidad e inundaciones de comunidades.
Tras el paso del tifón cinco rescatistas murieron cuando acudían a ayudar a los habitantes y se registró otra víctima mortal por un desprendimiento de terreno. Las autoridades estiman en cerca de 2,4 millones de dólares las pérdidas en las cosechas.
🇵🇭8 dead due to #KardingPH 5 from Bulacan, 2 from Zambales, and 1 from Quezon🇵🇭
フィリピンを襲った台風で現在8人の死亡が確認された。ブラカンから5人、ザンバレスから2人、ケソンから1人と相成った。そして今も3人が行方不明のままだ。#Philippines #Typhoon https://t.co/JlEPBanqj1 pic.twitter.com/o7xemJHyB8— エドちゃんねる フィリピンしてますか? (@EdChannel1111) September 27, 2022


















