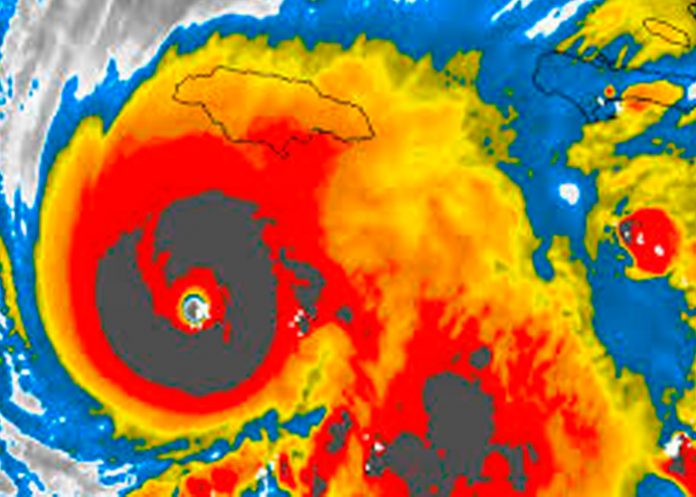
Cuba se prepara con máxima urgencia ante el avance del Huracán Melissa, que según los pronósticos podría alcanzar la categoría 5 antes de afectar el territorio nacional. Las autoridades han declarado alerta ciclónica en varias provincias orientales, mientras movilizan recursos para afrontar el posible embate.
Los servicios meteorológicos advierten que Melissa avanza desde el Caribe hacia el este y centro de la isla, con vientos que ya superan los 260 km/h en su entorno cercano. Ante ese escenario, se han dispuesto medidas de emergencia: evacuaciones preventivas de zonas costeras, preparación de albergues, resguardo de infraestructura crítica y suspensión de actividades públicas en rutas de impacto previstas.
El gobierno cubano enfatiza que la prioridad es minimizar daños a vidas humanas y bienes materiales. En varias provincias, los residentes han comenzado a asegurar sus viviendas, almacenar suministros de agua y alimentos y prevenir inundaciones por lluvias intensas y oleaje. Los expertos señalan que el riesgo no sólo está en los vientos, sino también en las lluvias torrenciales y posibles deslizamientos en zonas vulnerables.
Aunque el huracán todavía no toca tierra cubana, la rapidez con la que podría intensificarse genera inquietud. Las autoridades insistieron en que se mantenga vigilancia constante, que se atiendan las instrucciones oficiales y que no se subestime la amenaza. Una situación similar en años previos demostró que la preparación temprana puede marcar la diferencia.

Cuba se instala en máxima alarma por el huracán Melissa
Con el paso de Melissa, será clave observar el comportamiento de las marejadas, el nivel de ríos y la respuesta de los sistemas de emergencia. En las próximas horas, el país espera recibir el impacto directo o indirecto del fenómeno, mientras se mantiene en máxima alerta.
 
		 
			

















