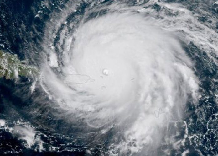
Las fuerzas de seguridad de Haití se movilizarán en todo el país ante la llegada del huracán Irma, de categoría 5, y estiman que llegará a la isla este jueves en la mañana, informó el portal Haití Libre es miércoles.
El director general de la Policía Nacional de Haití, Michel-Ange Gédéon, indicó que todos los oficiales de los diez departamentos geográficos deben regresar a sus puestos lo antes posible y se mantendrán así hasta nuevo aviso. Fueron convocados los soldados del cuerpo de Ingeniería de Haití.
Irma s'active. Les prévisions laissent croire que Haiti est sur sa route. Soyez vigilants suivez les conseils des organismes impliqués.
— Jovenel Moïse (@moisejovenel) September 5, 2017
El presidente de Haití, Jovenel Moise, instó a la población a estar vigilantes ante la evolución de este fenómeno que amenaza a la nación a menos de un año del paso por la isla del huracán Matthew en octubre de 2016.
Al menos seis muertos en la parte francesa de San Martín por el paso de Irma
Asimismo, el Gobierno estableció un Comando Central en la residencia del primer ministro y asignó al Centro Nacional de Operaciones Urgentes coordinar las instrucciones para todas las autoridades nacionales. "Los delegados departamentales coordinarán las acciones de acuerdo a las estructuras establecidas", explicó el martes el primer ministro Jack Guy Lafontant, según el portal de noticias.
La delegación de @CruzRojaEsp en Haití refuerza su trabajo con la Cruz Roja Haitiana ante el huracán #Irma pic.twitter.com/wSBQOm5oar
— Cruz Roja Española (@CRE_Emergencias) September 6, 2017
Por otro lado, unos 10.000 voluntarios de la Cruz Roja de Haití y unas ocho mil integrantes de las brigadas civiles de protección estarán a la orden ante cualquier situación. Además, 793 refugios temporales estarán dispuestos en siete departamentos de la isla.
El último boletín del Centro Nacional de Huracanes (NHC, por su sigla e inglés), publicado a las 17H00 hora del Atlántico, reveló que la tormenta Irma se mueve a una velocidad de 26 kilómetros por hora y sus vientos son de 295 kilómetros por hora.
Tras su paso por las islas de San Martín y San Bartolomé, se espera que Irma continúe por algunos zonas de Puerto Rico, Haití, República Dominicana, Cuba y Florida (Estados Unidos)


















