Lo confirma ENACAL: Saneamiento del Lago de Managua iniciará en 2026
                    El proyecto clave de saneamiento del Lago de Managua, o Lago Xolotlán, arrancará en 2026, uno de los principales temas destacados este jueves en...                
            Fundamentos para la Nueva Ley de Creación de las ZEE en Nicaragua
                    El Ejecutivo envió al Parlamento de Nicaragua la iniciativa de Ley de Creación de Zonas Económicas Especiales de la Franja y la Ruta para...                
            Nicaragua presenta la Nueva Ley de Zonas Económicas Especiales de la Franja y La...
                    
El Gobierno de Nicaragua ha presentado a la Asamblea Nacional una Iniciativa de Ley para establecer Zonas Económicas Especiales de la Franja y la...                
            Manejar motos en Managua: La diferencia de hacerlo como gente seria
                    Durante un recorrido por las calles de Managua, realizamos una sencilla pero importante pregunta: ¿Cómo se maneja correctamente una motocicleta? La respuesta, según conductores,...                
            Más de 860 MDD: Producción cafetalera logra récord histórico en Nicaragua
                    El café nicaragüense atraviesa uno de sus mejores momentos históricos. Así lo afirmó Eduardo Escobar, secretario ejecutivo de la Comisión Nacional para la Transformación...                
            De las Isletas de Granada al podio centroamericano: medallas de oro, plata y bronce
                    Desde el Centro Nacional de Remo y Canotaje “Juan Cruz Pérez”, en la Isla El Arado, en las Isletas de Granada, encontramos a “Los...                
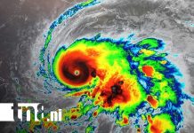
            Huracán Melissa, que ya está castigando Jamaica, dejará efectos de mal tiempo en Nicaragua
                    Durante los próximos días se pronostican lluvias en gran parte de Nicaragua debido a una baja presión y a los efectos de Melissa; el...                
            ¡Managua se ilumina! ENATREL instala decoraciones y árboles navideños en toda la capital
                    La Avenida Bolívar a Chávez en Managua, se ha convertido en el principal punto de las celebraciones decembrinas. La Empresa Nicaragüense de Transmisión Eléctrica...                
            Negar un trago le costó la vida a un hombre en Bluefields
                    Wiloyd Loury Hansack, de 51 años de edad, fue ultimado de una estocada en el tórax en Bluefields, luego de haber sostenido una discusión...                
            ¡Hacia un país más próspero! Nicaragua fortalece lucha contra la pobreza con Presupuesto 2026
                    Durante el programa La Notificación desde el Ministerio de Hacienda y Crédito Público, donde el titular de la institución, Óscar Danilo Mojica, abordó los...                
             
		 
			























